Lot 3 Hummingbird Pl Parksville, British Columbia V9P 1K1
$395,000
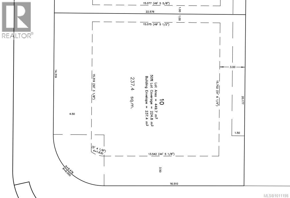
Lot 3 for sale. Welcome to Hummingbird Place, an exclusive enclave of stunning West Coast–style homes. This thoughtfully planned community offers the rare chance to create your dream home in one of Parksville’s most desirable locations—just steps from Quality Foods and a short stroll to the picturesque Parksville Beach Boardwalk. Zoning permits up to 50% site coverage and allows for secondary suites, giving you flexibility in your design. Whether you’re a builder seeking a prime opportunity or a private buyer envisioning your perfect haven, Hummingbird Place offers the ideal blend of contemporary architecture, cohesive community spirit, and an unbeatable location. Contact the listing agent, Kirk Walper, at 250-228-4275 for more information. (id:48643)
Property Details
| MLS® Number | 1011198 |
| Property Type | Vacant Land |
| Neigbourhood | Parksville |
| Features | Central Location, Corner Site, Other |
Building
Land
| Access Type | Road Access |
| Acreage | No |
| Size Irregular | 4844 |
| Size Total | 4844 Sqft |
| Size Total Text | 4844 Sqft |
| Zoning Description | Slr-1 |
| Zoning Type | Residential |
https://www.realtor.ca/real-estate/28738675/lot-3-hummingbird-pl-parksville-parksville
Contact Us
Contact us for more information
Kirk Walper
Personal Real Estate Corporation
www.youtube.com/embed/73tOMkamVF4
kirkwalper.com/
173 West Island Hwy
Parksville, British Columbia V9P 2H1
(250) 248-4321
(800) 224-5838
(250) 248-3550
www.parksvillerealestate.com/










